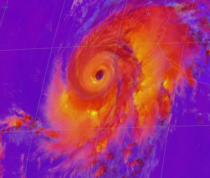
Redacción.- La Comisión Federal de Electricidad (CFE) activó sus protocolos de acción ante fenómenos meteorológicos, por lo que se encuentra preparada para prevenir y atender las posibles afectaciones que pudieran presentarse con el paso del Huracán ‘Genevieve’ por las costas del estado de Baja California Sur, según dice en un comunicado.
La CFE informó que conformó y ubicó de manera estratégica a un equipo integrado por 844 trabajadores electricistas, 361 vehículos, 151 grúas, 11 vehículos todo terreno, 3 helicópteros, 41 plantas de emergencias y 12 torres de iluminación, con el propósito de iniciar de manera inmediata la reparación de infraestructura y el restablecimiento del servicio eléctrico que resulten afectados.
La CFE dice que cuenta con planes específicos para la atención de emergencias, los cuales tienen como propósito primordial establecer los mecanismos adecuados para la oportuna toma de decisiones en caso de afectación al suministro eléctrico ocasionado por ciclones tropicales, sismos o cualquier otro evento externo.
Con la aplicación de dichos procedimientos se optimizan los recursos humanos y materiales para atender las contingencias en las mejores condiciones de seguridad para la ciudadanía y el personal de la CFE.
Conforme al Manual de Procedimientos técnicos para la atención de Desastres de la CFE, se realizan las siguientes actividades:
• Monitoreo permanente de la evolución del meteoro.
• Identificación de las áreas de probable impacto del fenómeno meteorológico.
• Traslado de recursos humanos y materiales al lugar del probable impacto.
• Implementación de Centros de Operación Estratégicos para toma de decisiones oportunas, posicionados en puntos clave del país.
• Identificación de los usuarios cuyo servicio es fundamental para la comunidad (hospitales, gasolineras, sistemas de bombeo, etc.) para darle prioridad de atención.
Según la CFE, Conforme a los pronósticos de trayectoria y de los radios de influencia de los vientos reportados por el Sistema Meteorológico Nacional, se estima que la infraestructura presentará pocos daños ocasionados por los vientos del Huracán Genevieve, sin embargo, debido a la cantidad de lluvia se prevén afectaciones por reblandecimiento del terreno y desbordes de ríos. La CFE a través del Sistema Nacional de Protección Civil, se encuentra en coordinación permanente con la Secretaría de la Defensa Nacional, la Secretaría de Marina, la Comisión Nacional del Agua, la Secretaría de Salud, el Sistema Nacional de Protección Civil, así como con los gobiernos estatal y municipales para la atención de la posible contingencia.






