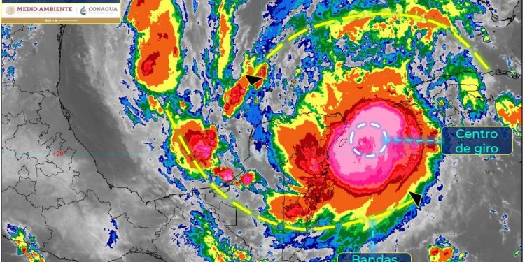
Redacción.- El centro del peligroso Huracán “Delta” categoría 3 en la escala Saffir-Simpson, muy cerca de las costas de Quintana Roo. Se localiza a 55 km al este-noreste de Cozumel, Quintana Roo, reporta la Conagua. Produce lluvias intensas a torrenciales en la Península de Yucatán y originará vientos fuertes con rachas de 150 a 240 km/h, oleaje de 5 a 9 metros de altura y una marea de tormenta de 1 a 2 metros de altura en el norte de Quintana Roo y de 2 a 4 metros en las costas de Yucatán. Delta comenzó a afectar el oriente del Estado a partir de las 3:30 am con vientos de tormenta tropical. Entrará a Yucatán por Nuevo Tesoco.
Afectaría Mérida de 11:00 am a 19:00 horas con vientos de tormenta tropical.
El centro sale a las 11 horas cerca de Las Coloradas.
Se dejarán de sentir sus efectos a las 22:00 horas en Progreso.
Se pronostican: Lluvias intensas con lluvias puntuales torrenciales (150 a 250 mm) en Quintana Roo (norte) y Yucatán (oriente), lluvias muy fuertes con lluvias puntuales intensas (75 a 150 mm) en Campeche y Tabasco, así como lluvias fuertes con lluvias puntuales muy fuertes (50 a 75 mm) en Chiapas.
Vientos fuertes con rachas de 150 a 200 km/h, oleaje de 5 a 9 metros de altura y una marea de tormenta de 1 a 2 metros de altura en el norte de Quintana Roo y de 2 a 4 metros en las costas de Yucatán.
Zona de Prevención por vientos de Huracán desde Dzilam, Yucatán, hasta Tulum, Quintnaa Roo, incluyendo a Cozumel
Zona de Prevención por vientos de Tormenta Tropical desde Dzilam hasta Progreso, Yucatán, y desde Tulum hasta Punta Herrero, Quintana Roo.












