Redacción / Eric Holthaur en The Phoenix.- El huracán Iota es una de las tormentas más fuertes registradas de la historia. Está tocando tierra ahora mismo en la costa de Nicaragua.
La costa de Nicaragua acaba de sufrir el impacto directo del huracán Iota, una de las tormentas más fuertes de la historia registrada, menos de dos semanas después del impacto directo del huracán Eta, una de las tormentas más fuertes de la historia.
La costa caribeña de Nicaragua y Honduras se encuentra en la primera línea del cambio climático, una región principalmente indígena conocida como la Costa Miskito donde la gente ha luchado por la autonomía durante siglos.
La principal ciudad de la región, Bilwi (conocida en español como Puerto Cabezas, 70.000 habitantes), recibió el impacto directo de ambos huracanes.
Es inaudito que dos huracanes tan fuertes azoten el mismo lugar tan juntos, en cualquier lugar de la cuenca del Atlántico, en cualquier época del año, y mucho menos en Centroamérica a mediados de noviembre.
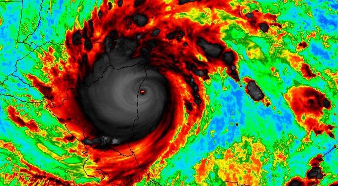
En los últimos dos días, Iota ha pasado de ser una depresión tropical a un terrible huracán de categoría 5 y tocó tierra a solo 15 millas al sur de donde Eta, un huracán de categoría 4 de alto nivel, tocó tierra el 3 de noviembre.
Durante unos días, Eta fue el huracán más fuerte de esta temporada récord de huracanes de 2020, hasta Iota. Iota es ahora uno de los huracanes más fuertes y de mayor intensidad en la historia registrada, más fuerte que el huracán Katrina en 2005 que tocó tierra en Nueva Orleans.
Iota traerá 20-30 pulgadas (50-75 cm) de lluvia a una región con niveles de agua aún altos después de las 30-40 pulgadas (~ 1 metro) de lluvia dejados por el huracán Eta hace menos de dos semanas, creando inundaciones potencialmente mortalesen casi todo el país de Honduras y la mayor parte del norte de Nicaragua.
Además de eso, los vientos sostenidos de Iota de 250 kph (155 mph) y las inundaciones por marejada ciclónica costera podrían producir un aumento en el nivel del océano de hasta 15-20 pies (5-6 metros), lo que traerá una marejada ciclónica insuperable millas tierra adentro. . Esta es una “situación catastrófica”, según el Centro Nacional de Huracanes:
La increíble fuerza de Eta e Iota está estrechamente relacionada con el cambio climático causado por el hombre. Las aguas más cálidas del océano se han relacionado durante mucho tiempo con la posibilidad de tormentas más fuertes, pero las aguas del Caribe rara vez han sido tan cálidas como ahora tan tarde en la temporada, esencialmente extendiendo las condiciones pico de la temporada de huracanes en un mes cerca de Nicaragua en comparación con hace 30 años.
La atmósfera tropical más cálida también puede contener más vapor de agua ahora, lo que está creando un ambiente más húmedo que es un combustible sobrealimentado para que los huracanes de alto nivel se intensifiquen rápidamente.
Iota es la trigésima tormenta con nombre récord de la temporada de huracanes de 2020, y el décimo huracán récord que se intensifica rápidamente. La fuerza extrema de Iota significa que la cuenca del Atlántico ahora ha registrado al menos un huracán de categoría 5 en cada uno de los últimos cinco años por primera vez en la historia.











